2023年7月16日日曜日

釣果速報(沖のイカダ)14日~16日までのまとめです。

 7月14日(金)  晴れ  水温27℃  中潮

伊賀市   M様

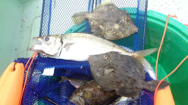
カワハギ 2匹 マアジ33cm頭に15匹ほど

7月15日(土)  曇り  水温27℃  中潮

砺波市   金山 智也様

チヌ  32cm~43cm  7枚(内40cmオーバー2枚)サナギ・コーン

名古屋市  兼山 博様

ヒラメ 53cm  マゴチ 34cm

7月16日(日)  晴れ  水温24℃  大潮

稲沢市   伊藤 雅之様

チヌ  35cm・45cm  2枚  オキアミ

長久手市  田坂 武司様

チヌ  23cm~25cm  3枚 サナギ・オキアミ  他マアジ20匹ほど







(釣り堀の方にも書き込んだ理由により暫く釣果の書き込みをサボってましたので

本日までの3日間のまとめとして写真をアップしますのでご了承くださいませ!

海況は良くてもうねりがあったり、天候が不安定だったりで暫くお客さんも

少なくて釣果は日によってまちまちですがチヌ以外の魚種もヒラメが釣れたり

マゴチが釣れたりマアジの良型やカワハギなども釣れてますし、初夏ということで

シオ(カンパチの子供)がかなり回遊してきたようでマアジなどの小魚を捕食しつつ

9月末ごろの沖へと出ていくころまでには50cm程度までのサイズに育ちますので

これらも是非狙いに来てください、ただしこれからの季節は非常に暑いので

水分補給を怠らずに熱中症には気を付けて遊びに来ていただけると幸いです。

3連休の中日の本日も沢山のお客様に来場して頂きまして誠にありがとうございました。

ではまたのご利用お待ちしております) 

釣果速報(釣り堀)




















































 (7月に入ってすぐにコロナにかかってしまったので陰性になるまでは迷惑をかけるので

出勤をせずにしばらくブログをサボってましたので申し訳ないですが完全復活しましたので

それまでの写真とあわせてのまとめてではありますがアップしますので是非ご覧ください。

昨日も団体様とあわせて沢山のお客様らに来場して頂いてましたが本日も3連休の中日と

いうことで更に沢山のお客様らに釣りにバーベキューにと来場して頂くことが出来ました。

もうすぐ夏休みということで非常に暑くて熱中症に気を付けなければなりませんが

是非また遊びに来ていただけると幸いです、それでは本日も暑い1日となりましたが

沢山のお客様のご来場ありがとうございました、またのご利用お待ちしております)